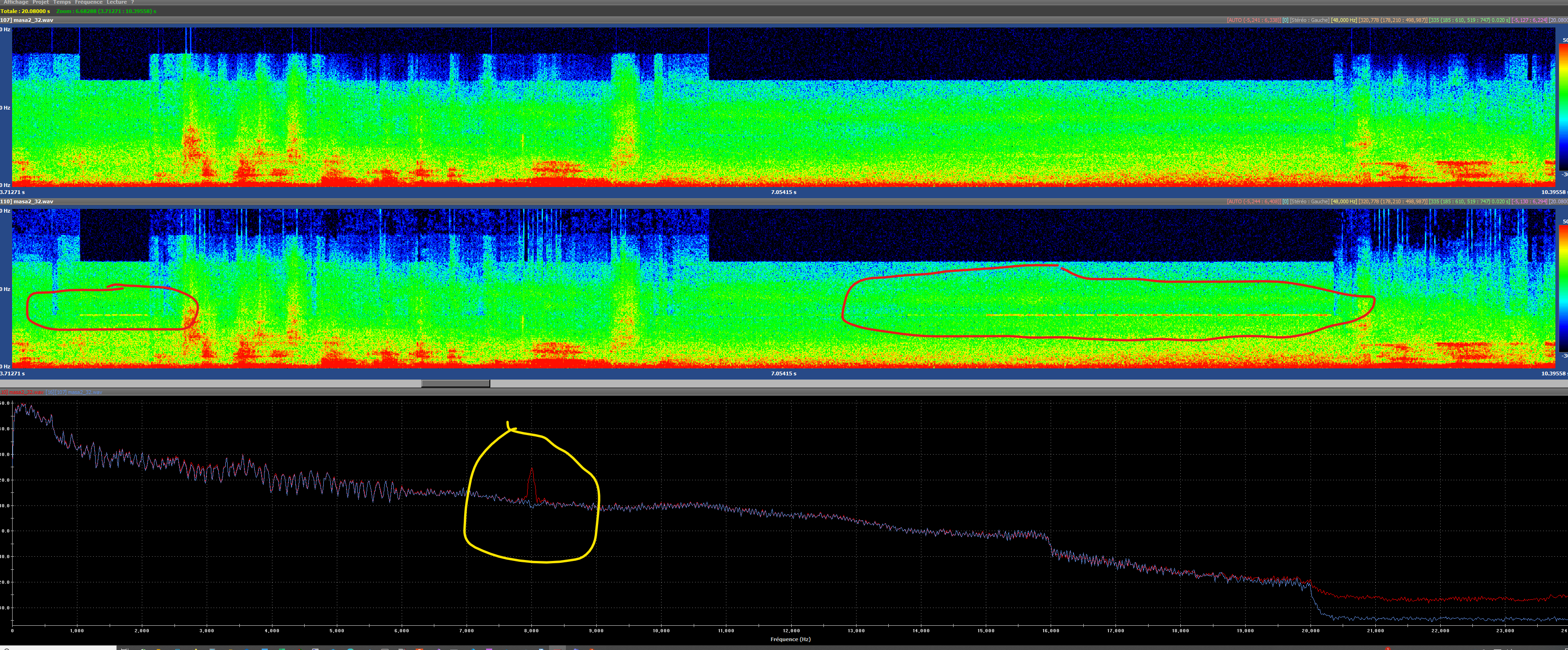
8kHz peak during noisy segment for MASA 2TC at 32kbps
for 23094e13, we can see a frequency resonance at 8kHz during noisy segment. Figure below show the spectrograms of the left channel of the float and fixed point
IVAS_cod.exe -dtx -masa 2 stv1MASA2TC48n.met 32000 48 stv1MASA2TC48n.wav bit IVAS_dec.exe -q -fr 20 binaural 48 bit out.wav
This problem is not present at 48/64 kbps
Edited by vaillancour
