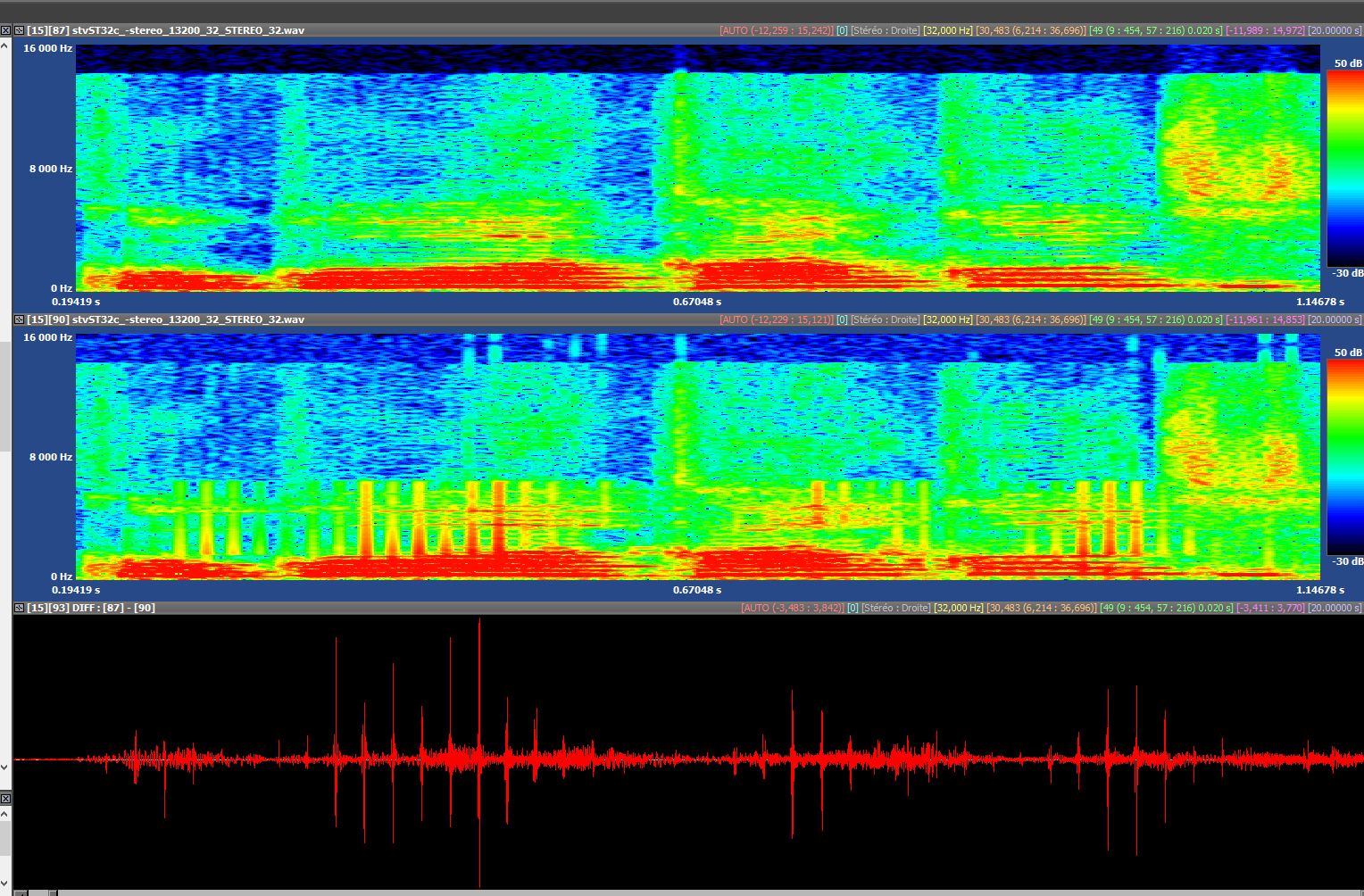
Frame boundaries issues for stereo bitrate < 32kbps
with 1c58561f and one of these bitstream you will get frame boundaries issues for the core coder if you decode with the following command line :
IVAS_dec STEREO 32 bit syn
On the pictures below, you see the right channel (float, fix and diff between float and fix), but same problem is there for the left channel
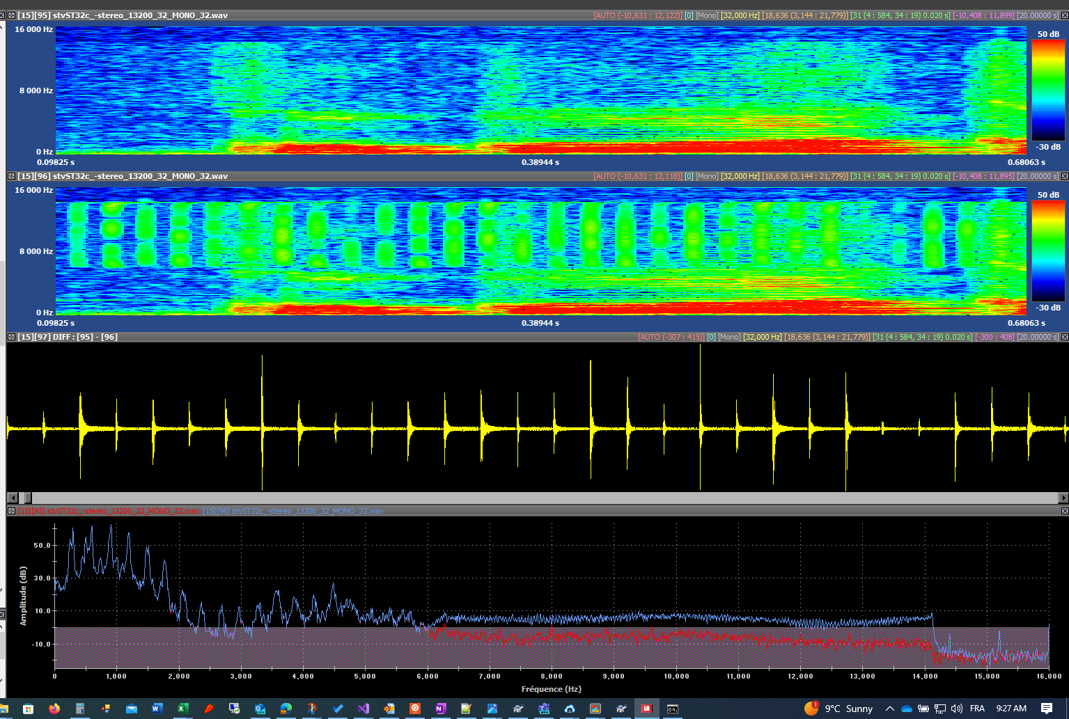
If you decode the same bitstream, but with the following command line
IVAS_dec MONO 32 bit syn
The core frame boundaries issues are gone, but a TD-BWE frame boundaries issues appear instead


